Grundstück, Kauf, Züsch
Immobilienportal-saarland.de
6 attraktive Bauplätze in Züsch - ideal für Familien & Bauträger

Neubaugebiet Züsch – 6 attraktive Baugrundstücke ab 61.000 € – einzeln oder im Paket

6 attraktive Bauplätze in Züsch - ideal für Familien & Bauträger

Objektbeschreibung

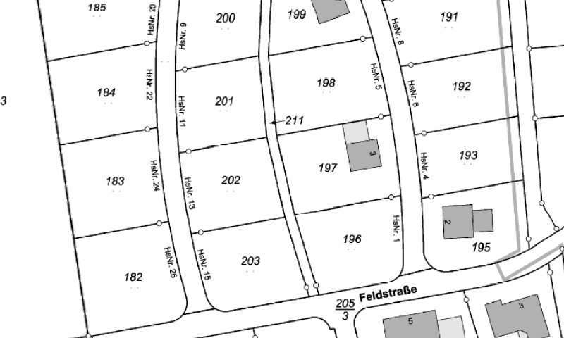
Grundstücksübersicht:

Flurstück 179: 640 m² – 61.000 € – nicht erschlossen

Flurstück 180: 719 m² – 69.000 € – nicht erschlossen

Flurstück 181: 863 m² – 82.000 € – nicht erschlossen

Flurstück 190: 831 m² – 83.000 € – erschlossen

Flurstück 191: 760 m² – 76.000 € – erschlossen

Flurstück 192: 711 m² – 71.000 € – erschlossen

➡ Einzelverkauf sowie Paketverkauf mit möglichem Preisvorteil sind möglich.

Paketkauf

Beim Kauf von 2 Grundstücken: 5 % Preisnachlass

Beim Kauf von 3 Grundstücken: 8 % Preisnachlass

Ab 4 Grundstücken ist der Preis individuell verhandelbar – abhängig von der Gesamtmenge

➡ Der Paketkauf eignet sich ideal für Investoren, Bauträger oder Familienprojekte.

Bebaubarkeit

Bebauungsplan liegt vor

Zulässig sind Einzelhäuser sowie Doppelhäuser

Bis zu 2 Vollgeschosse

Garage / Stellplätze zulässig

Erschließung – Wichtige Hinweise

Die Grundstücke Flur 5 Nr. 179, 180 und 181 sind derzeit noch nicht erschlossen.

Für diese Grundstücke laufen aktuell die Planungen zur Erschließung.

Die Grundstücke Flur 5 Nr. 190, 191 und 192 sind bereits erschlossen.

Die Straße befindet sich derzeit im Vorstufenausbau. Entsprechend wurde bislang nur eine Vorausleistung auf den Erschließungsbeitrag erhoben.

Der endgültige Erschließungsbeitrag wird nach endgültiger Fertigstellung der Straße abgerechnet.

Die Planungen für den Endstufenausbau laufen bereits.

Lage

Züsch ist ein idyllischer Erholungsort und eine staatlich anerkannte Gemeinde im Landkreis Trier-Saarburg. Die angebotenen Baugrundstücke befinden sich in ruhiger, naturnaher Lage mit schöner Aussicht und eignen sich ideal für Familien, Paare und Ruhesuchende.

Die Grundschule ist fußläufig in ca. 7 Minuten erreichbar, der Kindergarten liegt ca. 2,3 km entfernt und ist in etwa 4 Minuten mit dem Auto erreichbar. Die Bushaltestelle befindet sich in ca. 10 Gehminuten Entfernung und sorgt für eine gute Anbindung an die umliegenden Orte. Die medizinische Versorgung ist durch Arztpraxen und ein Krankenhaus in der näheren Umgebung gesichert.

Züsch bietet zudem vielfältige Freizeit- und Erholungsmöglichkeiten inmitten einer attraktiven Naturlandschaft.

➡ Ruhig wohnen – naturnah leben

Sonstiges

Wichtige Hinweise

Bebaubarkeit gemäß Bebauungsplan

Weitere Unterlagen (Lageplan, Flurkarte etc.) auf Anfrage

Käuferprovision: 3,57%

** Kontakt**

Bei Interesse an einem einzelnen Grundstück oder dem Gesamtpaket freue ich mich über Ihre Anfrage.

Gerne sende ich Ihnen weitere Informationen zu oder vereinbare einen Besichtigungstermin.

61.000 €

Kaufpreis

863 m²

Grundstücksfläche

Adresse

54422 Züsch

Preise & Kosten

Kaufpreis
61.000 €
Käufer-Provision

Angaben zur Immobilie

Objektart
Wohnen
Grundstücksfläche
863 m²
Bebaubar nach/ Bebauungsrichtlinien
B-Plan
Erschließung
Teilerschlossen

Ansprechpartner

Cindy Klima

Cindy Klima Immobilien

Anbieter

Cindy Klima Immobilien

66126 Saarbrücken

Telefon01604052331
E-MailDiese E-Mail-Adresse ist vor Spambots geschützt! Zur Anzeige muss JavaScript eingeschaltet sein.

Bilder

6 attraktive Bauplätze in Züsch - ideal für Familien & Bauträger
6 attraktive Bauplätze in Züsch - ideal für Familien & Bauträger
6 attraktive Bauplätze in Züsch - ideal für Familien & Bauträger
6 attraktive Bauplätze in Züsch - ideal für Familien & Bauträger